Con base - en U$S
Remate:
Martes 28 de abril, 14:00 hs.
en Misiones 1365, Montevideo
Seña: 30% - Comisión 3,66% iva inc + 1% imp. municipal
Saldo: 30 días
Serán de cargo del comprador los gastos comunes y la deuda IMC.
Se puede visitar previa coordinación
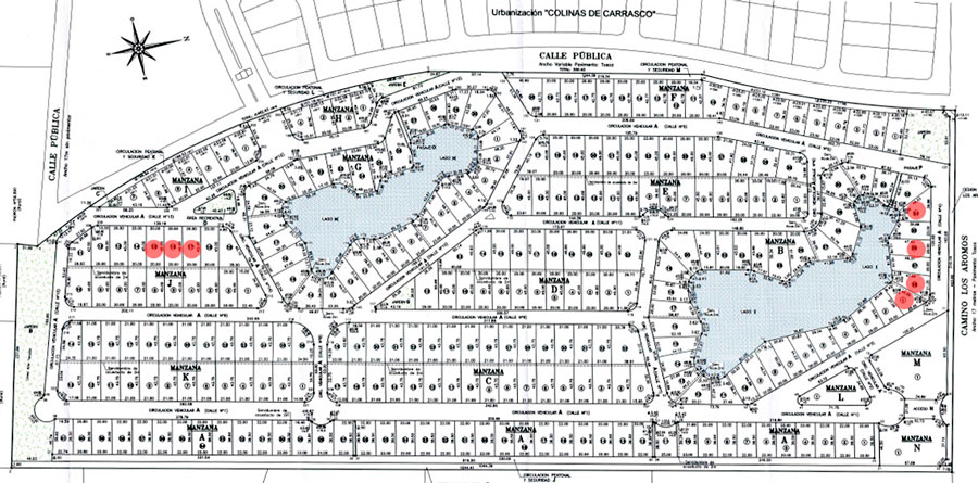
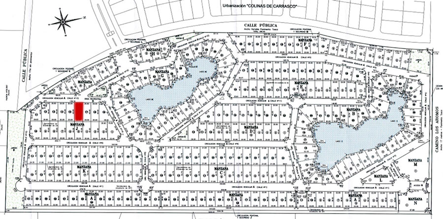
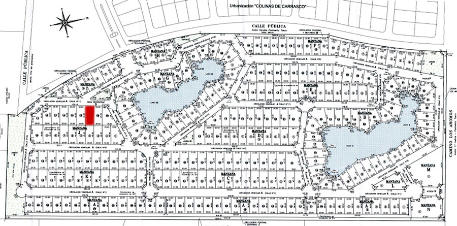
7 terrenos en barrio "La Juana",
Camino de los Aromos a 800 metros de Ruta 101 km. 23.900
Padrón general: 11.484

1. B-1 - Superficie: 861 m2 - Frente: 28,69 m - Base: U$S 72.455
El predio se encuentra nievelado y limpio.
La manzana B posee lotes irregulares, con frentes sobre distintas calles interiores y fondos sobre el lago artificial.



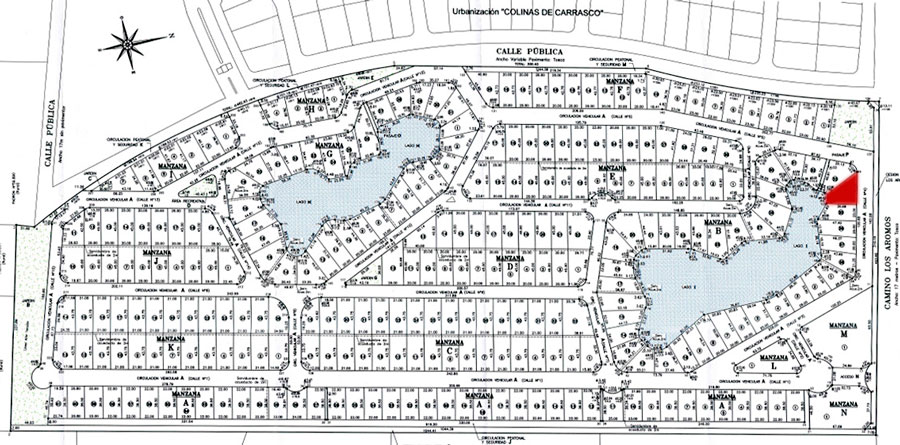
2. B-34 - Superficie: 911 m2 - Frente: 39,88 m - Base: U$S 76.655
El predio se encuentra nievelado y limpio.
La manzana B posee lotes irregulares, con frentes sobre distintas calles interiores y fondos sobre el lago artificial.



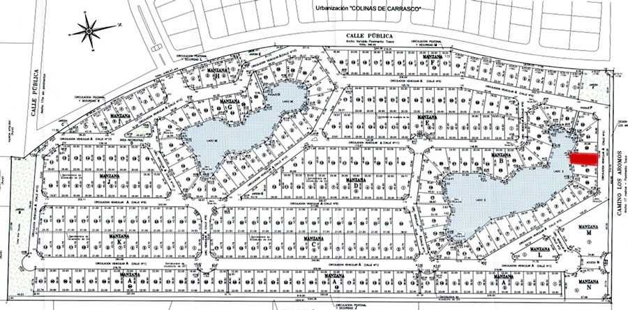
3. B-36 - Superficie: 896 m2 - Frente: 20 m - Base: U$S 75.455
El predio se encuentra nievelado y limpio.
La manzana B posee lotes irregulares, con frentes sobre distintas calles interiores y fondos sobre el lago artificial.



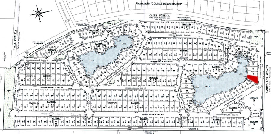
4. B-38 - Superficie: 862 m2 - Frente: 21,25 m - Base: U$S 72.100
El predio se encuentra nievelado y limpio.
La manzana B posee lotes irregulares, con frentes sobre distintas calles interiores y fondos sobre el lago artificial.



5. J-15 - Superficie: 900 m2 - Frente: 20 m - Base: U$S 59.775
El predio se encuentra nievelado y limpio.
La manzana J posee dos frentes sobre calles internas del barrio.



6. J-16 - Superficie: 900 m2 - Frente: 20 m - Base: U$S 59.775
El predio se encuentra nievelado y limpio.
La manzana J posee dos frentes sobre calles internas del barrio.



7. J-17 - Superficie: 900 m2 - Frente: 20 m - Base: U$S 59.775
El predio se encuentra nievelado y limpio.
La manzana J posee dos frentes sobre calles internas del barrio.


